Real Estate Agent in Connecticut and Western Massachusetts

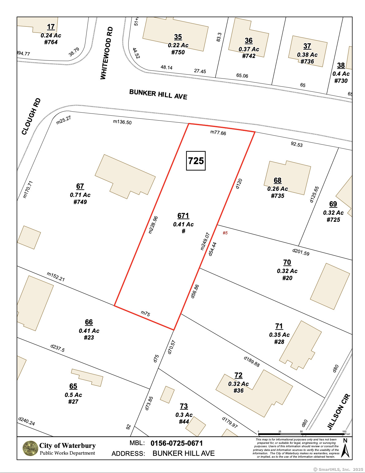
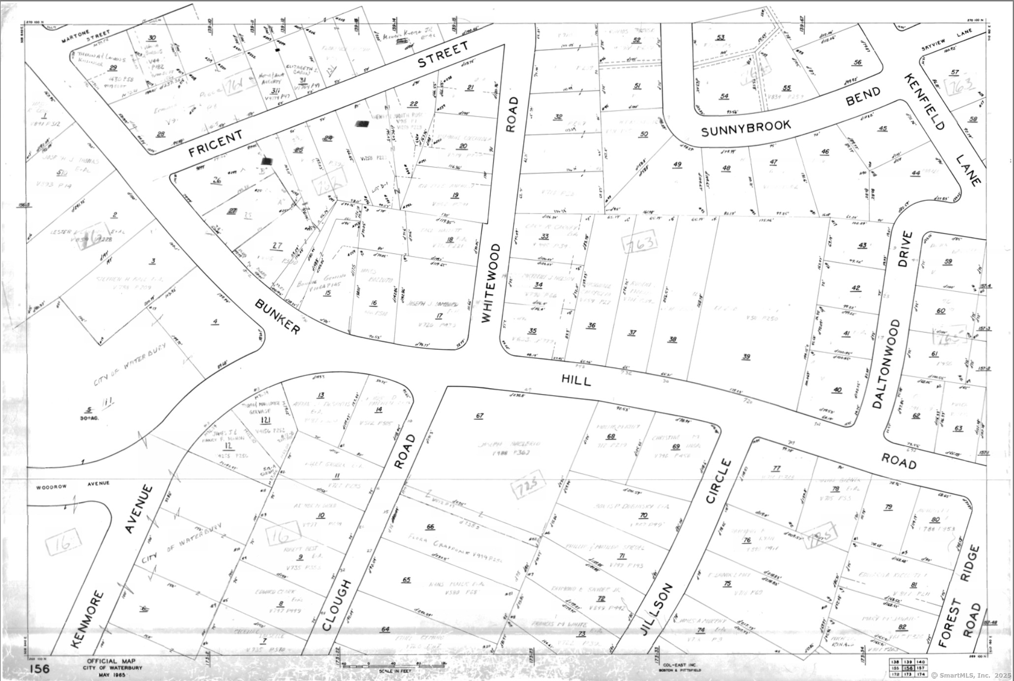
00 Bunker Hill Avenue
Waterbury, Connecticut

Lots and Land For Sale

2716352

Parcel

06701

Postal Code

0.41

Acres

$ 62,000

Price

00 Bunker Hill Avenue
Waterbury, Connecticut

Waterbury, Connecticut

Description:

Investor & Builder Alert - Prime Buildable Lot in Bunker Hill! Unlock the potential of this cleared, level 0.41-acre lot located in the highly desirable Bunker Hill section of Waterbury. With public water, public sewer, and electricity available at the street, this parcel offers a streamlined path to development-ideal for builders seeking a shovel-ready site or investors looking for a solid opportunity in a strong residential market. Situated in an established neighborhood with mature trees and well-kept homes, this RS-zoned (Residential Single-Family) lot provides excellent potential for new construction, spec homes, or long-term investment. The property is adjacent to 749 Bunker Hill Avenue (white house) for easy reference. Enjoy a central location close to parks, schools, shopping, dining, and with quick access to I-84 and Route 8, making it a smart choice for both commuters and future homeowners alike. Buyers and agents to perform their own due diligence regarding zoning, permitted uses, utilities, and potential development options. Don't miss this opportunity to build in one of Waterbury's most sought-after areas!

Listing Courtesy of mygoodagent

Meet Our Team

Our team consists of dedicated real estate professionals passionate about helping our clients achieve their goals. Every client receives personalized attention, expert guidance, and unparalleled service. Meet our team:

Alison Malkin
Alison Malkin

Broker/Owner

860-214-8008

Email
Alison Malkin
Nicole Malkin James

Broker/Owner

843-614-7222

Email
Alison Malkin
Luis Torres

Associate Broker

860-383-5211

Email
Alison Malkin
Debra Pliego

Realtor®

860-919-7376

Email
Alison Malkin
Madison Wells

Realtor®

860-538-7567

Email
Alison Malkin
Lori Sierpinski

Realtor®

860-222-4692

Email
Alison Malkin
Jim Murkette

Realtor®

860-539-5009

Email
Alison Malkin
Leah Pliego

Realtor®

860-681-7373

Email
Alison Malkin
Shaissa Acosta

Realtor®

860-249-1641

Email

Acres : 0.41
City : Waterbury
County : New Haven
Elementary School : Per Board of Ed
Description : Cleared
Improvements : None
Neighborhood : Town Plot
Parcel : 2716352
Postal Code : 06701
Sewage System : Public Sewer In Street
Tax Year : July 2025-June 2026
Watersource : Public Water In Street
weeb : RPR, IDX Sites, Realtor.com

Phone

860-384-7624

Address

20 Hopmeadow St, Unit 821, Weatogue, CT 06089


© Copyright By Essentia Realty